Votre oasis de paix hivernale à Ch. Forest, Rawdon : terrain exceptionnel à découvrir
Découvrez un terrain exceptionnel à Ch. Forest, Rawdon
Situé à proximité des célèbres Chutes Dorwin, ce terrain plat et sablonneux de 17 553 pieds carrés est l'endroit idéal pour construire votre résidence principale. En plein cœur d'un secteur prisé de Rawdon, ce lot offre un accès facile aux services essentiels tout en garantissant une atmosphère paisible grâce à son environnement naturel.
Un terrain enchanteur

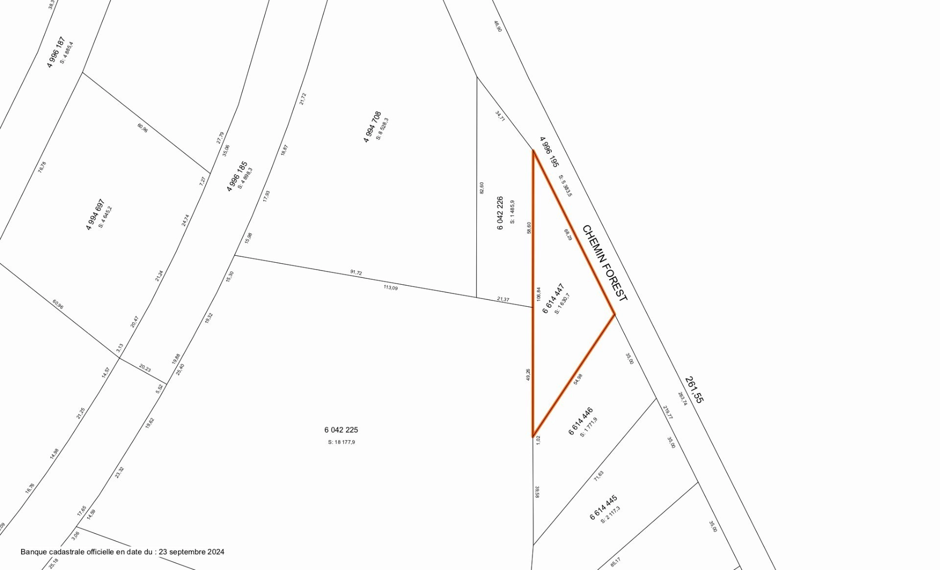
En hiver, les parcelles de terrain se dévoilent sous un manteau de neige qui sublime la tranquillité des lieux. Délimitées et soulignées avec une teinte rouge vibrante, ces parcelles montrent leur potentiel à travers leur forme généreuse. La première parcelle, vaste de 1 771,9 mètres carrés, et la deuxième, de 1 630,7 mètres carrés, s'intègrent magnifiquement au paysage, ponctué d'arbres dispersés qui enrichissent l'ambiance naturelle et accueillante de l'endroit.
Le plan cadastral : une vision pratique

Le plan cadastral illustre parfaitement le positionnement stratégique du terrain le long du chemin Forest. Avec une surface légèrement irrégulière couvrant 606 m², ce lot se distingue par sa belle exposition et son accès direct à une voie principale. Le voisinage, bien défini sur le plan, assure à la fois intimité et tranquillité aux futurs occupants, tout en maintenant la proximité des commodités locales.
Envie d'en savoir plus sur cette opportunité exceptionnelle ? Il est temps de contacter Shawn Barrette, courtier immobilier résidentiel chez Remax Prestige, desservant les régions de Repentigny, Mascouche et Rawdon. Pour toute information complémentaire ou pour organiser une visite du terrain, vous pouvez le joindre par courriel à shawn@signaturesb.com ou par téléphone au (514) 927-1340. Visitez également le site Web à l'adresse ef.signaturesb.com pour découvrir d'autres propriétés disponibles.
Ne manquez pas cette chance unique de bâtir la maison de vos rêves dans un lieu où tranquillité et accessibilité vont de pair. Ce terrain met à disposition les atouts nécessaires pour réaliser votre projet immobilier en toute confiance.
Conclusion
En résumé, cette remarquable opportunité d'achat pour un terrain offert à 89,900 $ se situe à Ch. Forest Rawdon. Il offre un potentiel exceptionnel pour construire votre résidence principale.
Ce terrain plat et sablonneux de 17 553 pieds carrés est idéalement situé dans un secteur très recherché près des Chutes Dorwin et à proximité des services essentiels. Pour les personnes souhaitant un cadre de vie paisible tout en restant proches des commodités, ce bien offre un emplacement de choix.
Pour des informations complémentaires ou pour planifier une visite, faites confiance à l'expertise de Shawn Barrette, courtier immobilier résidentiel chez Remax Prestige. Pour les régions de Repentigny, Mascouche et Rawdon, Shawn Barrette est votre interlocuteur privilégié pour ce projet immobilier. Avec son expérience et sa connaissance approfondie du marché local, il vous accompagnera tout au long du processus avec professionnalisme.
N'hésitez pas à contacter Shawn Barrette par téléphone au (514) 927-1340 ou par courriel à shawn@signaturesb.com. Vous pouvez également découvrir plus de services et de listings sur son site web à l'adresse http://signaturesb.com.
Ne manquez pas cette occasion unique de devenir propriétaire d'un terrain propice à la construction dans ce cadre enchanteur. Un test de sol est disponible sur demande afin de garantir la faisabilité de vos projets. Contactez dès à présent Shawn Barrette pour transformer ce rêve en réalité.
Clause de non-responsabilité : Le contenu de ce blog et toutes les informations fournies ont été entièrement rédigés par une IA. Il n'y a aucune garantie quant à l'exactitude des informations présentées. Les lecteurs sont invités à contacter le courtier immobilier pour obtenir plus d'informations sur la propriété et les détails du quartier fournis.